Khách hàng sử dụng trình duyệt chrome để trải nghiệm YouHomes tốt nhất

Sở hữu quỹ đất nền hiếm hoi tại quận Thủ Đức, dự án khu dân cư Heart Land Linh Đông do công ty Nam Việt Homes đầu tư đã thu hút được sự quan tâm của đông đảo khách hàng. Heart Land Linh Đông được chú trọng đầu tư nhằm mang đến cho cư dân sống tại khu vực tận hưởng sự tiện nghi tối đa bên cạnh môi trường sống trong lành và thoáng mát. Không gian dự án được thiết kế thông thoáng, tận dụng tối đa diện tích và thoáng khí, giúp lưu thông không khí mang sức sống tươi mới vào nhà, tạo cho gia đình cảm giác thoải mái và thư thái tại chính ngôi nhà của mình.
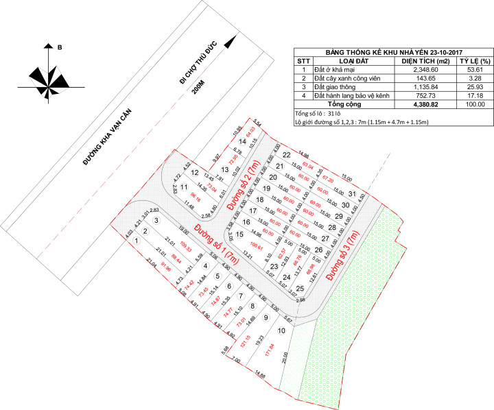
Sở hữu quỹ đất 4,380.82m2 với 31 nền đất, Heart Land Linh Đông được quy hoạch đồng bộ, mật độ xây dựng thấp đảm bảo cho các ngôi nhà có không gian thoáng mát đón gió tự nhiên mổi ngôi.Tại đây, khách hàng được tự do thiết kế ngôi nhà của mình theo sở thích riêng nhưng phải đảm bảo quy chuẩn đồng bộ. Không chỉ vậy, Heart Land Thủ Đức sở hữu vị trí thuận lợi ngay mặt tiền đường Kha Vạn Cân, gần với đại lộ Phạm Văn Đồng cùng nhiều tuyến đường huyết mạch khác.
Từ dự án cư dân có thể tiếp cận nhiều tiện ích ngoại khu như trường học, bệnh viện, trung tâm thương mại… và đặc biệt có thể thuận tiện di chuyển tới các khu vực trung tâm và khu vực lân cận.
Thảo Điền, Quận 2, Hồ Chí Minh
Thảo Điền, Quận 2, Hồ Chí Minh
Thảo Điền, Quận 2, Hồ Chí Minh
Thảo Điền, Quận 2, Hồ Chí Minh

Khu dân cư Heart Land Linh Đông
Top 463 dự án
An toàn an ninh tốt nhất
Căn cứ trên 13.548 đánh giá trên cộng đồng cư dân
Có hơn 8.675 thảo luận của Cư dân
trên cộng đồng cư dân
Công ty TNHH Đầu tư Phát triển Nam Việt HomesYouHomes.Vn - Website mua bán, cho thuê bất động sản uy tín tại Việt nam










